Obra pública
La nueva circulación por acceso Perón, con semáforos y nuevo cruce a nivel
:format(webp):quality(40)/https://paralelo32cdn.eleco.com.ar/media/2023/08/la_nueva_circulacion_por_acceso_peron_con_semaforos_y_nuevo_cruce_a_nivel.jpg)
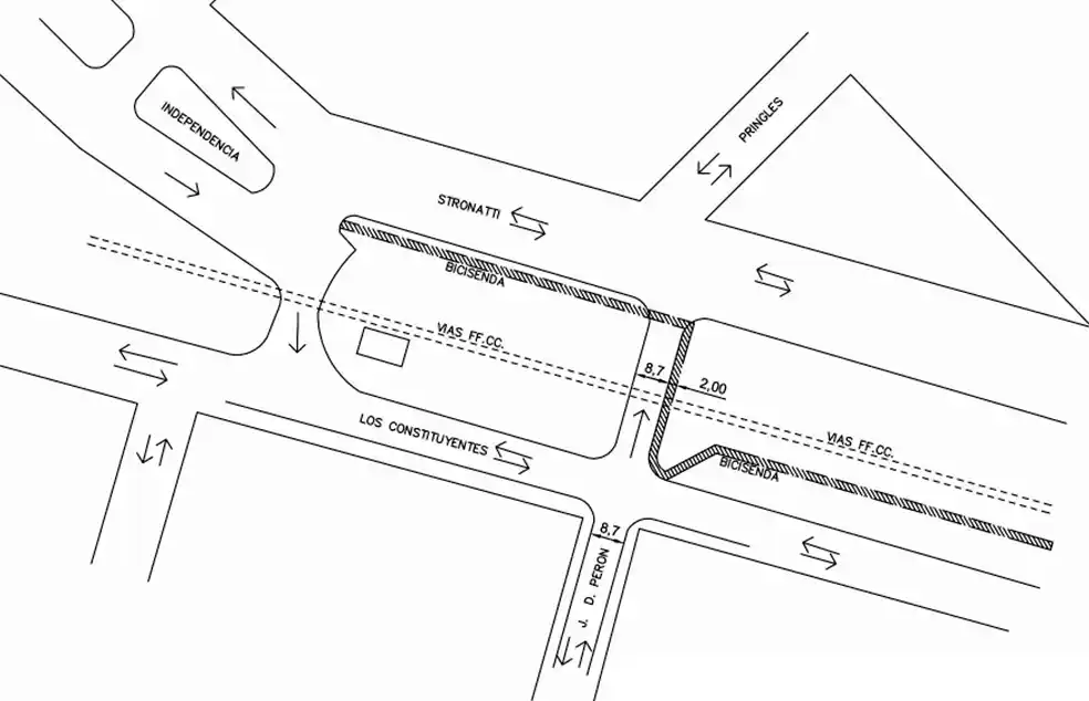
Se construirá una prolongación de Acceso Perón sobre las vías del ferrocarril para unir Los Constituyentes con Stronatti • El Apeadero actual será mano única de salida de la ciudad.
Crespo.- La Municipalidad sigue trabajando para remodelar el Acceso Presidente Perón en la intersección con Avenida Los Constituyentes y el paso a nivel del Apeadero de Barrio Azul. Se trata de una obra con el objetivo de rediseñar la circulación vehicular, abriendo una comunicación vial sobre las vías del ferrocarril entre el Acceso Perón y la calle Stronatti.
El Acceso Presidente Perón se prolongará en línea recta, atravesando las vías del ferrocarril hasta Stronatti. Se va a pavimentar el nuevo tramo a construir, y la calle Stronatti, desde esa intersección hasta Avenida Independencia. Por otro lado, se colocaron semáforos en la intersección de Los Constituyentes y Perón para regular el flujo vehicular en esa esquina, que muestra alta densidad de tránsito durante el día. Para realzar más esa zona histórica de la ciudad, se prevé colocar junto a las vías un Punto Saludable con equipos de ejercicios físicos para uso de los transeúntes, ampliando el área de recreación que ya existe.
Circulación
La circulación de tránsito tendrá una reforma importante. Los vehículos que ingresen a la ciudad por Presidente Perón tendrán circulación obligatoria por el nuevo tramo de paso a nivel continuando por Stronatti hacia Independencia. Los vehículos que salgan de la ciudad hacia el acceso, tendrán que hacerlo por el paso a nivel actual junto al apeadero.
No habrá cambios de circulación sobre Los Constituyentes que seguirá siendo doble mano en todo su recorrido, pero estará prohibido doblar hacia Independencia por el Apeadero, que quedará como mano única en esa intersección.
Tampoco se podrá tomar el nuevo paso a nivel de Acceso Perón en sentido de Stronatti hacia Los Constituyentes. De esta manera, cuando se completen los trabajos previstos la circulación en la zona quedará de la siguiente manera:
• Doble mano sobre Los Constituyentes para vehículos que no doblen hacia Independencia o hacia Stronatti;
• Paso a nivel actual del apeadero, con mano única desde Independencia hacia Los Constituyentes y Acceso Perón;
• Paso a nivel nuevo prolongando Acceso Perón, con mano única desde Perón a Stronatti.
Entrada y salida
En diálogo con Paralelo 32, el secretario de Servicios Públicos, Juan Diego Elsesser, señaló que “toda la zona del Apeadero será un complejo de circulación para facilitar el tránsito, tanto de peatones como de vehículos”. Agregó que se dará continuidad a la vía aeróbica construida sobre Los Constituyentes, conectando con la vía aeróbica en Independencia.
“Quien ingrese por Los Constituyentes desde la ruta 131 solo podrá seguir hacia el centro doblando por Perón hacia Stronatti, y el que quiera salir de Independencia hacia Perón solo podrá pasar por el actual cruce del Apeadero”, subrayó el funcionario.
Por otro lado, aclaró que quienes circulen por Stronatti y quieran conectar con Los Constituyentes podrán doblar sobre Independencia y tomar el cruce del actual apeadero. “Si uno circula por Stronatti no va a poder tomar por Acceso Perón, va a tener que seguir hasta Independencia y doblar por el Apeadero”, remarcó Elsesser.
El funcionario municipal destacó que con estas obras se completará la intervención de la Municipalidad en los principales accesos de la ciudad, Illia, Libertad, y el ya ejecutado Acceso Presidente Alfonsín, buscando el doble objetivo de dinamizar el tránsito vehicular y poner en valor esas importantes arterias que comunican Crespo con el resto de la provincia y el país.

